Description
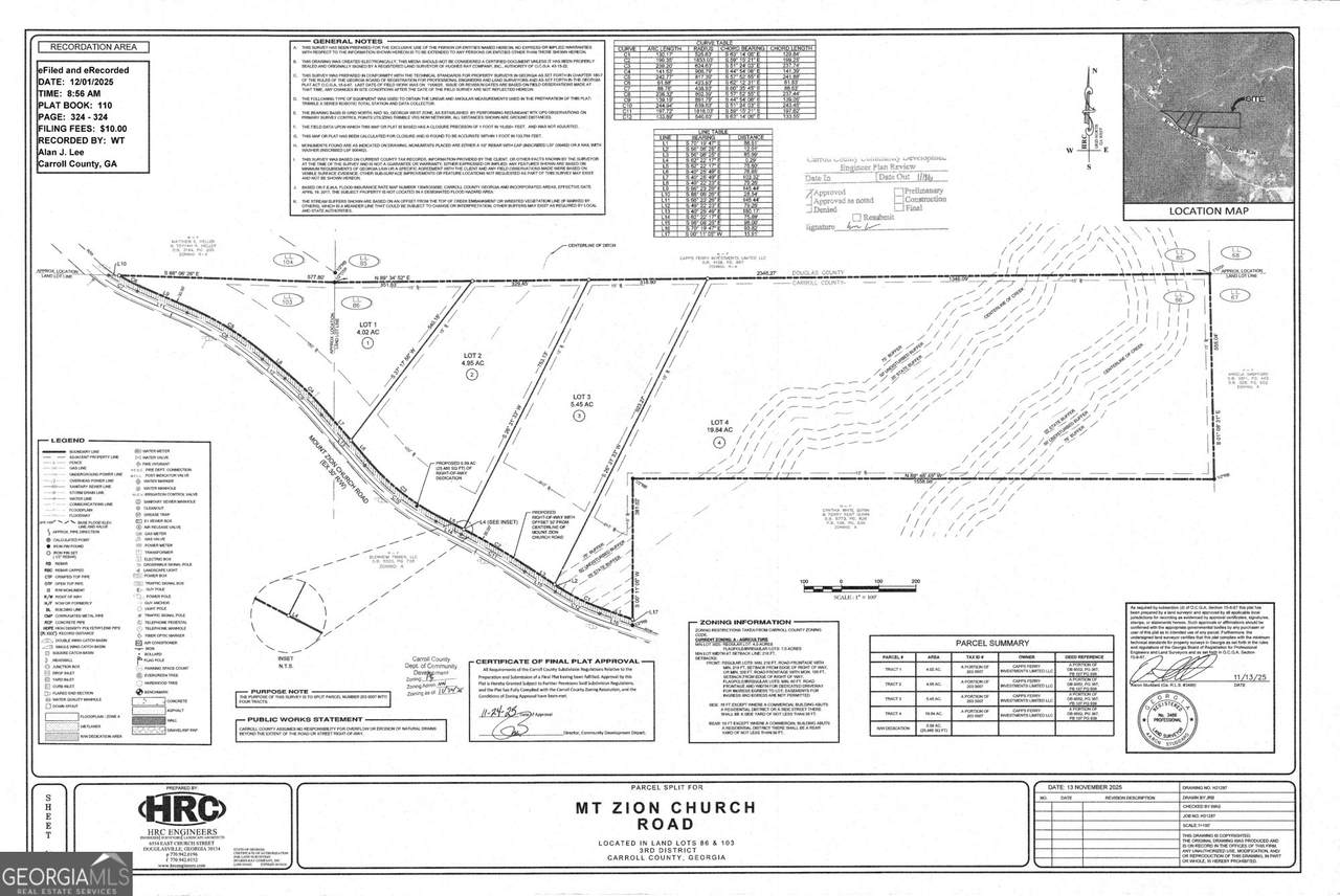
Gable Land Co. presents for sale a 34.26-acre property divided into four tracts ranging from 4.02 to 19.84 acres. The tracts are accessed by a quiet gravel road and offer a private setting suitable for residential, recreational, or long-term investment use.
-
0BEDS
-
4.95ACRES
-
0BATHS
-
01/2 BATHS
School Information
Description
Gable Land Co. presents for sale a 34.26-acre property divided into four tracts ranging from 4.02 to 19.84 acres. The tracts are accessed by a quiet gravel road and offer a private setting suitable for residential, recreational, or long-term investment use.
© 2026 Georgia Multiple Listing Service, Inc. All rights reserved. The data relating to real estate for sale or lease on this web site comes in part from GAMLS. Real estate listings held by brokerage firms other than Team Reign | Give Back Real Estate | eXp Realty are marked with the GAMLS logo or an abbreviated logo and detailed information about them includes the name of the listing broker. IDX information is provided exclusively for consumers' personal, non-commercial use and may not be used for any purpose other than to identify prospective properties consumers may be interested in purchasing. Information is deemed reliable but is not guaranteed accurate by GAMLS or Team Reign | Give Back Real Estate | eXp Realty. Data last updated: 2026-04-18T15:10:45.96.